Create a Website Account - Manage notification subscriptions, save form progress and more.
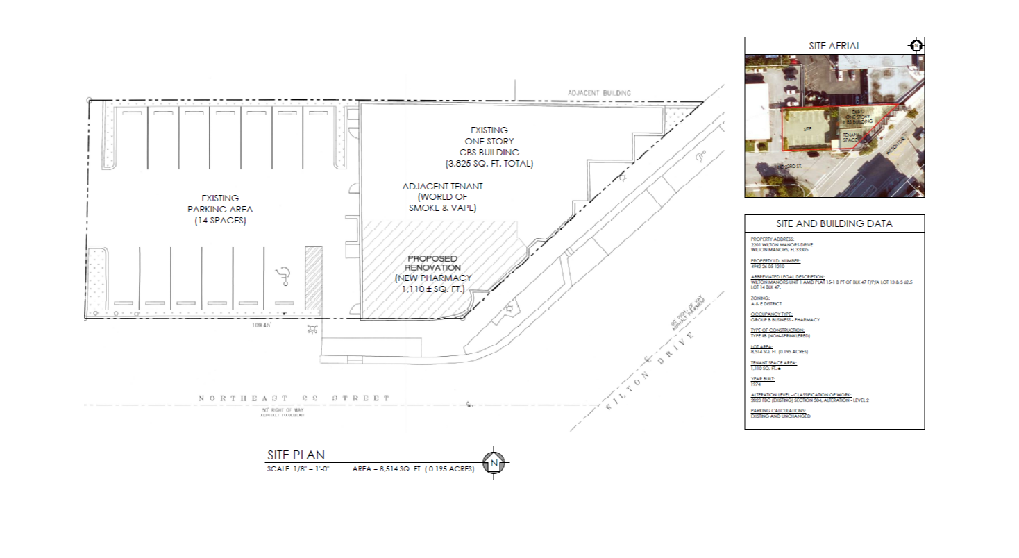
A retail pharmacy and medical clinic is proposed to be located in an existing commercial building to be located at 2201 Wilton Drive.
Click Here for Site Plan
Click Here for Traffic Study