57 Wilton Manors

1308 NE 24 Street

57 Wilton 1
57 Wilton 2

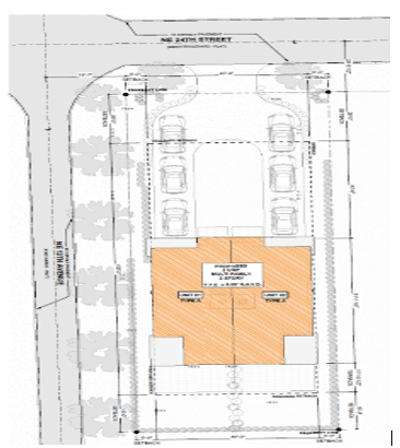
The proposed project consists of two (2) duplex units to be located at the southeast corner of NE 24 Street and NE 13 Avenue. The proposed project is known as “57 Wilton Manors”. 

View plans for 57 Wilton Manors.